Gravel Drive, Hanmer
Project Update
Pre-Construction Notice- April 2, 2026
Pre-Engineering Work
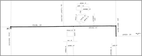
The City of Greater Sudbury will be completing investigation work in advance of proposed watermain improvements on Gravel Drive, between Deschene Road and Linden Drive, in Hanmer.
This project is part of the Council-approved Capital Project for Gravel Drive from the Deschene Well to Linden Drive to install new watermain.
As detailed design progresses, Residents will receive a notice by mail during the early stages of a project, which outlines the Council-approved planned work, introduces the project team and provides their contact information for questions.
The project team will provide residents with further details through update notices, also by mail, as the project progresses, including information on when construction will start and any planned service interruptions that may affect you or your property directly.

Investigation Details:
- Marking the locations of underground utilities.
- Soils investigation will be completed to determine sub-soil surface conditions.
- Rock probes will be completed to determine depth of bedrock
- Camera inspection of your sanitary sewer service
Project Manager:
Kevin Reynish
705-919-2089
Project Timeline:
- Pre-Construction Notice- April 2, 2026